854 Iron Mine Road Lanark Highlands, Ontario K0G 1K0
$299,000
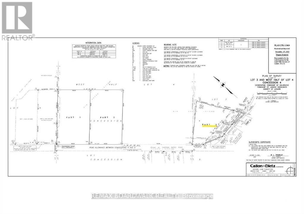
Build your dream home on this stunning 3.68-acre corner lot, perfectly positioned in a peaceful, scenic setting overlooking the breathtaking Sheridan Rapids. With nature as your backdrop and wildlife as your neighbours, this property offers the kind of privacy and tranquility that's getting harder to find, without sacrificing convenience.The groundwork is already done: a gravel driveway is in place, a drilled well is ready to go, and hydro is available at the road, so you can focus on designing the home you've always wanted.What truly sets this opportunity apart is the bonus riverfront parcel included across the road. Enjoy all the perks of waterfront living-kayaking, fishing, swimming, or simply taking in the view-without the higher taxes or building restrictions that often come with building directly on the water. Whether you're dreaming of a private estate, a peaceful retreat, or a smart long-term investment with rare river access, this one-of-a-kind package delivers space, scenery, and lifestyle in a setting that feels a world away from it all. (id:65396)
Property Details
| MLS® Number | X12694720 |
| Property Type | Vacant Land |
| Community Name | 914 - Lanark Highlands (Dalhousie) Twp |
| Easement | Unknown |
| Structure | Dock |
| View Type | Direct Water View |
| Water Front Name | Mississippi River |
| Water Front Type | Waterfront On River |
Building
Land
| Access Type | Public Road, Private Docking |
| Acreage | Yes |
| Size Frontage | 355 Ft ,4 In |
| Size Irregular | 355.35 Ft |
| Size Total Text | 355.35 Ft|2 - 4.99 Acres |
Utilities
| Cable | Available |
| Electricity | Available |
Contact Us
Contact us for more information









